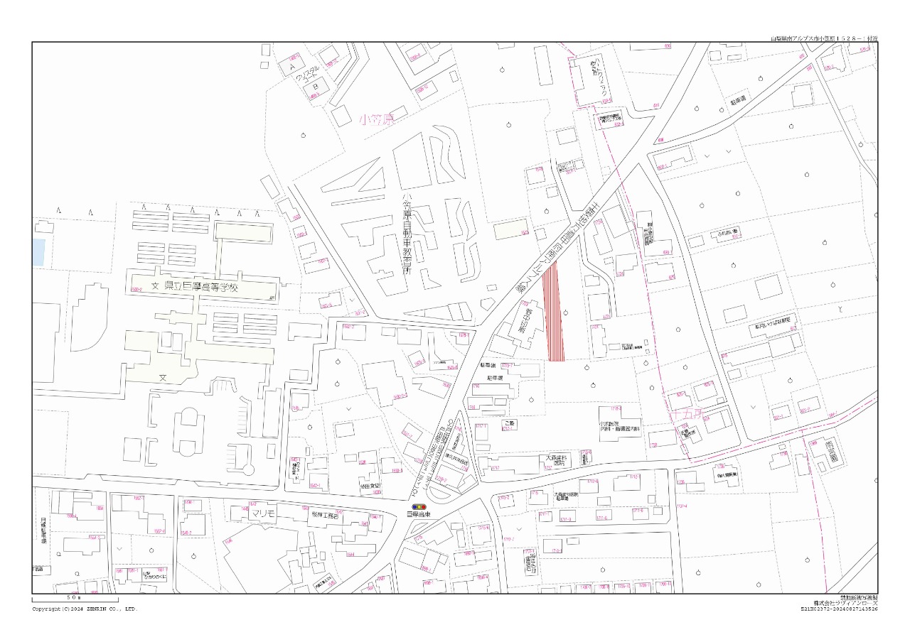
【売土地】南アルプス市小笠原153坪
櫛形地区・153坪の土地です。
地目が雑種地ですので農地転用にかかる費用と時間を節約できます。
広さは153坪ですので、事業用地としてはもちろんのこと、敷地を広々使った住宅用地にもおすすめです。
南アルプスガーデンが近くにあり、日用品の買い物には困りません。
前面道路に上下水道がありますので、事業用地としても住宅地としても清潔な環境で時間を過ごしていただけます。
大きな道路に面していますので、交通の便もよく、気軽に遠出ができます。
徒歩2分の位置にバス停もあります。
資料請求・ご質問等お気軽にご連絡ください。
|
|---|
|
